Company Logo
My Counselor HomeFinder Get New Listings Emailed Daily! SIGN UP LOGIN

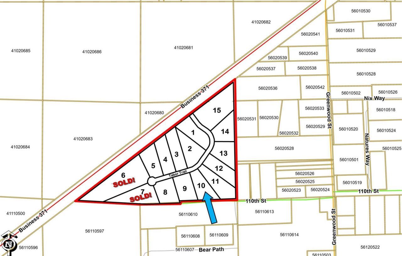
(lot 10) 11126 Tabor Trail, Brainerd, MN 56401

7 Total Photos [Click to View All]

Listed By

Agency Name: Close-Converse Commercial Prop
Agency Phone: 218-828-3334

Shown By

Agency Title: Counselor Realty
Agency Phone:

IDX logo

Property Description

Unlock Your Business Potential in Brainerd, MN! Welcome to the newly developed Northland Industrial Park, strategically located along Business Highway 371 for optimal visibility and accessibility. This prime location offers a unique opportunity for businesses looking to grow and thrive in a vibrant community. Key features include a prime location, flexible lot sizes, business-friendly environment and proximity to amenities.

(lot 10) 11126 Tabor Trail | MLS# 6621969

This land located at (lot 10) 11126 Tabor Trail, Brainerd, MN 56401 is currently listed for sale with an asking price of $149,000. The property has approximately 2.50 Acres. (lot 10) 11126 Tabor Trail is located within the Brainerd school district. Search Brainerd real estate on www.counselorrealty.com today.

Property Features

Property Type: Land - Commercial
Lot Size: 2.50 Acres
Taxes: $50

Feature Descriptions

Days on Site: 542
Development Status: Plat Designed
Improvements: Public Road
Land Inclusions: Platted
Lot: Additional Land Available, Irregular Lot
Lot Dimensions: 132.05' x 578.61' x 341.30' x 436.92'
Topography: Level
Utilities: Electricity Available, Natural Gas Available Connected, Phone Available

Local Schools

School District: Brainerd

Estimate Your Payment

Estimated Payment

$ 840.67 per month $793.04 Principal & Interest $4.17 Property Tax $43.46 Homeowner's Insurance

Change Payment Information

%
years/fixed
yearly
yearly (est.)
(Payments are an estimate and may vary by lender)

Near By

Demographics

Login to My Homefinder

Pixel